_Thomson_MNHN_India_Silhet_=_Glenea.jpg)
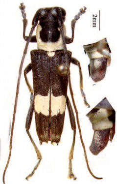
Stibara indiana Thomson Specimen Type: holotype Sex: f Institution: MNHN Museum of Natural History Paris, France Determiner: Ann Ent Soc France Collection Location: Silhet, India 62571
|

Photographer: Larry G. Bezark Collection Location: Xien Khouang Province, Laos 49716
|