New Search Family, Subfamily and Tribe List

SubFamily Lamiinae

Tribe Saperdini
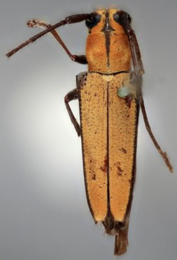
Glenea humeralis Aurivillius 1926

Specimen Type: holotype
Institution: NMNH United States National Museum, Washington, DC, USA
Photographer: Gino Nearns
Collection Location: Polillo, Philippines
48769

130425