_Newman_BMNH_Manilla_Luzon_Philippines_LGB.jpg)
Specimen Type: holotype Institution: BMNH British Museum Natural History, London, UK Photographer: Larry G. Bezark Collection Location: Manila, Luzon, Philippines 47745
|

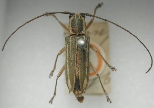
Glenea viridis Aurivillius Specimen Type: syntype Institution: NHRS Naturhistoriska Riksmuseet, Stockholm, Sweden Photographer: Jim Cope Collection Location: Samar, Philippines 50076
|