
Glenea gestroi Gahan Specimen Type: holotype Sex: f Institution: MCSN Museo Civico di Storia Naturale, Genova, Italy Photographer: Meiying Lin Collection Location: Bhamo, Myanmar 67456
|
_Gahan_Myanmar_now_Bifidunguiglenea.jpg)
Glenea gestroi Gahan Specimen Type: holotype Sex: f Institution: MCSN Museo Civico di Storia Naturale, Genova, Italy Photographer: Meiying Lin Collection Location: Bhamo, Myanmar 42712
|
_Pic_Vietnam_now_Bifid_gestroi.jpg)
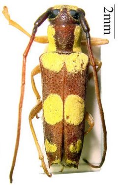
Glenea luteomaculata Pic Specimen Type: holotype Sex: m Institution: MNHN Museum of Natural History Paris, France Photographer: Meiying Lin Collection Location: Tonkin, Vietnam 42739
|
_Vietnam_now_Bifid_gestroi_Meiying.jpg)
Glenea bicoloricornis Pic Specimen Type: holotype Sex: f Institution: MNHN Museum of Natural History Paris, France Photographer: Meiying Lin Collection Location: Hoa-Binh, Tonkin, Vietnam 42711
|

Glenea luteomaculata Pic Institution: BPBM Bernice P. Bishop Museum, Honolulu, Hawaii, USA Photographer: Jim Cope Collection Location: Tonkin, Vietnam 49775
|
|