_Br_BMNH_Kokoda_PNG_LGB.jpg)
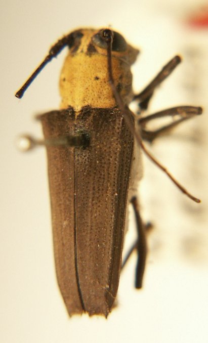
Specimen Type: holotype Sex: f Institution: BMNH British Museum Natural History, London, UK Photographer: Larry G. Bezark Collection Location: Kokoda, Papua New Guinea 47736
|

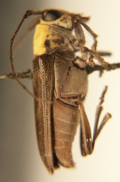
Specimen Type: paratype Institution: NHMB Naturhistorisches Museum, Basel, Switzerland Photographer: Andreas Weigel Collection Location: Kokoda, Papua New Guinea 67776
|
.jpg)
Specimen Type: paratype Institution: NHMB Naturhistorisches Museum, Basel, Switzerland Photographer: Andreas Weigel Collection Location: Kokoda, Papua New Guinea 67777
|
|