_(Fabr)_BMNH_LGB.jpg)
Specimen Type: compared with type Institution: BMNH British Museum Natural History, London, UK Photographer: Larry G. Bezark Collection Location: Guinea 47699
|
_Ramirez_SS_Nasc_MUSM_Meliton_Carbajal_RioItaya_Loreto_Peru_SS.jpg)
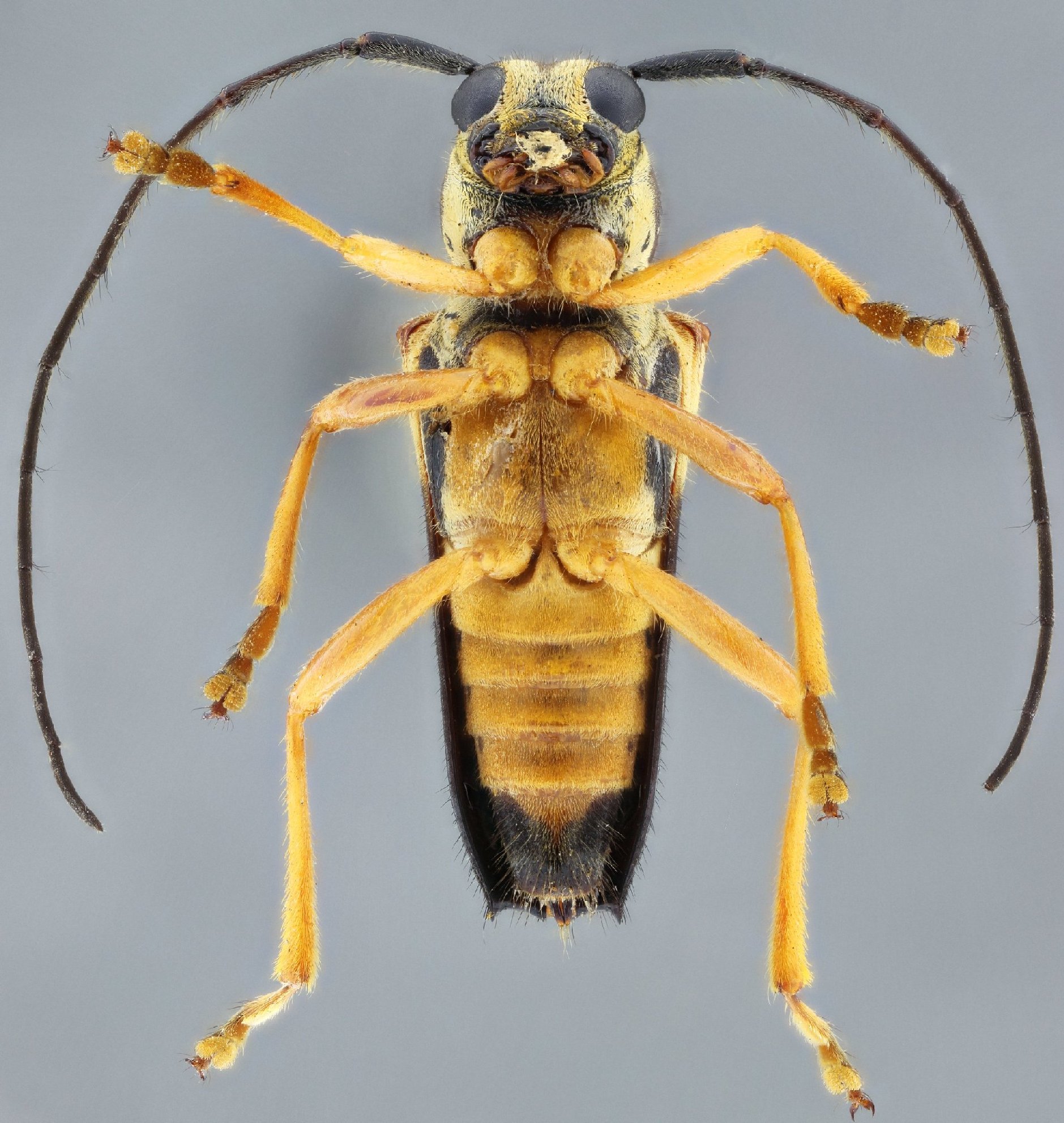
Hemilocallia grishami Hernandez, Santos-Silva & Nascimento Specimen Type: holotype Sex: m Institution: UNMSM Museo de Historia Natural Universidad Nacional Mayor de San Marcos, Lima, Peru Photographer: Antonio Santos-Silva Collection Location: Meliton, Carbajal, Rio Itaya, Loreto, Peru 68366
|
_Ramirez_SS_Nasc_MUSM_Meliton_Carbajal_RioItaya_Loreto_Peru_SS.jpg)
Hemilocallia grishami Hernandez, Santos-Silva & Nascimento Specimen Type: holotype Sex: m Institution: UNMSM Museo de Historia Natural Universidad Nacional Mayor de San Marcos, Lima, Peru Photographer: Antonio Santos-Silva Collection Location: Meliton, Carbajal, Rio Itaya, Loreto, Peru 68367
|
_Ramirez_SS_Nasc_MUSM_Meliton_Carbajal_RioItaya_Loreto_Peru_SS.jpg)
Hemilocallia grishami Hernandez, Santos-Silva & Nascimento Specimen Type: holotype Sex: m Institution: UNMSM Museo de Historia Natural Universidad Nacional Mayor de San Marcos, Lima, Peru Photographer: Antonio Santos-Silva Collection Location: Meliton, Carbajal, Rio Itaya, Loreto, Peru 68368
|
_Ramirez_SS_Nasc_MUSM_Meliton_Carbajal_RioItaya_Loreto_Peru_SS.jpg)
Hemilocallia grishami Hernandez, Santos-Silva & Nascimento Specimen Type: holotype Sex: m Institution: UNMSM Museo de Historia Natural Universidad Nacional Mayor de San Marcos, Lima, Peru Photographer: Antonio Santos-Silva Collection Location: Meliton, Carbajal, Rio Itaya, Loreto, Peru 68369
|
_BMNH_Guinea_LGB.jpg)
Institution: BMNH British Museum Natural History, London, UK Photographer: Larry G. Bezark Collection Location: Guinea 47700
|

Institution: LGBC Larry G. Bezark Collection, Sacramento, California, USA Photographer: Larry G. Bezark Collection Location: Kisangani, Tashopo District, DR Congo 48723
|
_fasciata_(f)_Fabr_Kpalime_Kloto_Togo_Roguet.jpg)
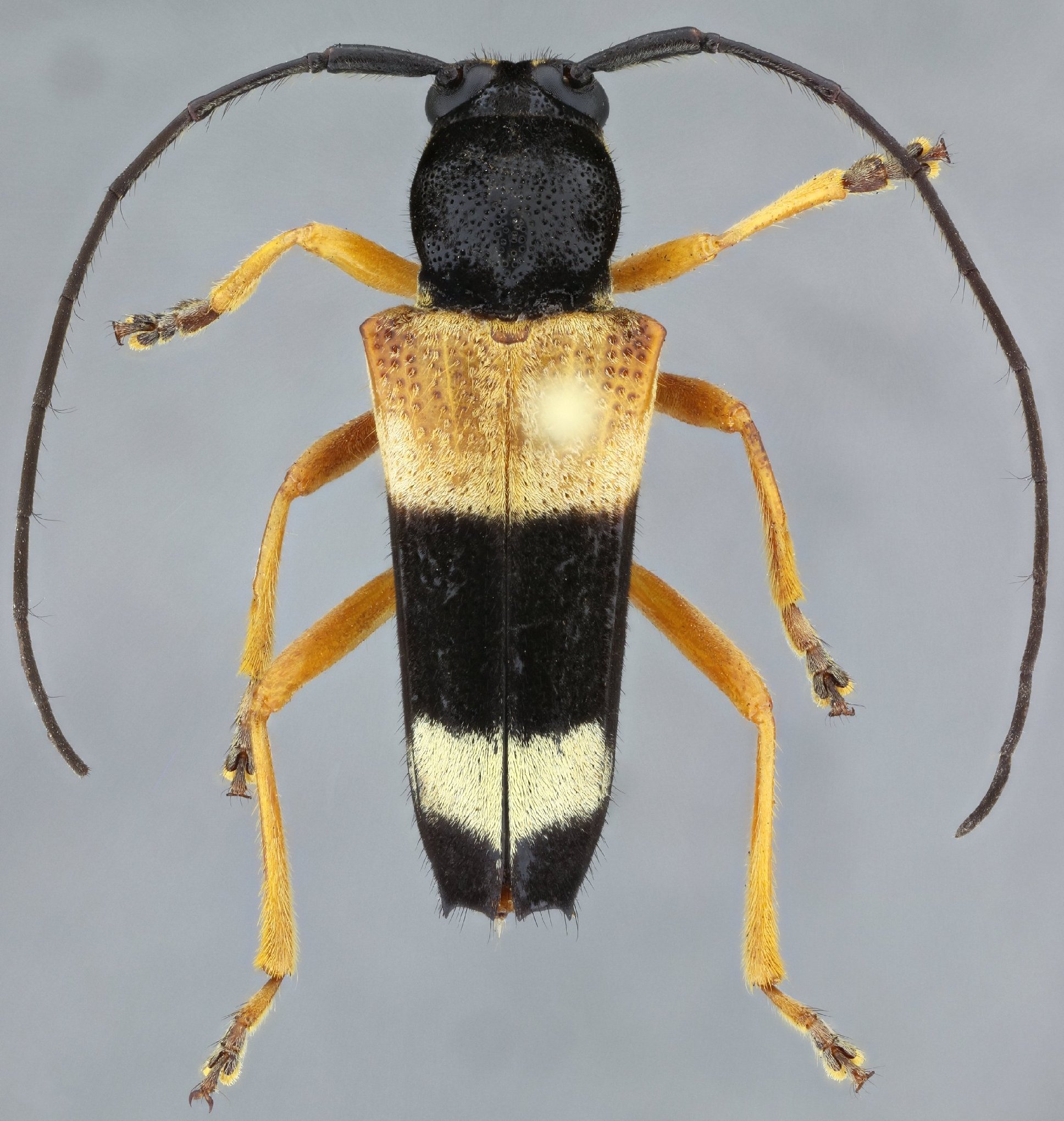
Sex: f Photographer: JP Roguet, https://lamiinae.org Collection Location: Kpalime, Kloto, Togo 46078
|
|