_(Fisher)_Bolivia_Wappes_Photo.jpg)
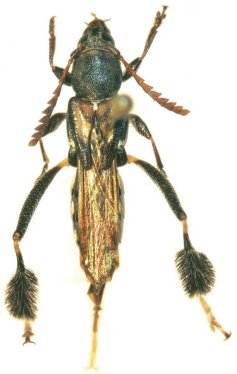
Phygopoda manni Fisher Specimen Type: holotype Sex: m Institution: NMNH United States National Museum, Washington, DC, USA Photographer: Jim Wappes Collection Location: Rurrenabaque, Beni River, Bolivia 7345
|
_Fisher_USNM_=_Epimelitta.jpg)
Phygopoda manni Fisher Specimen Type: holotype Sex: m Institution: NMNH United States National Museum, Washington, DC, USA Collection Location: Rurrenabaque, Beni River, Bolivia 26351
|