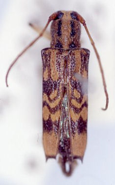
_Gahan_BMNH_Si_Rambe_Sumatra_LGB.jpg)
Specimen Type: co-type Institution: BMNH British Museum Natural History, London, UK Photographer: Larry G. Bezark Collection Location: Si Rambe, Sumatra 47709
|
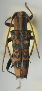
_Gahan_BMNH_Si_Rambe_Sumatra_LGB.jpg)
Specimen Type: co-type Institution: BMNH British Museum Natural History, London, UK Photographer: Larry G. Bezark Collection Location: Si Rambe, Sumatra 47710
|

Specimen Type: co-type Institution: BMNH British Museum Natural History, London, UK Photographer: Meiying Lin Collection Location: Si-Rambe, Sumatra, Indonesia 67412
|

Photographer: Jim Cope Collection Location: Sumatra 48700
|
|