New Search Family, Subfamily and Tribe List

SubFamily Lamiinae

Tribe Saperdini
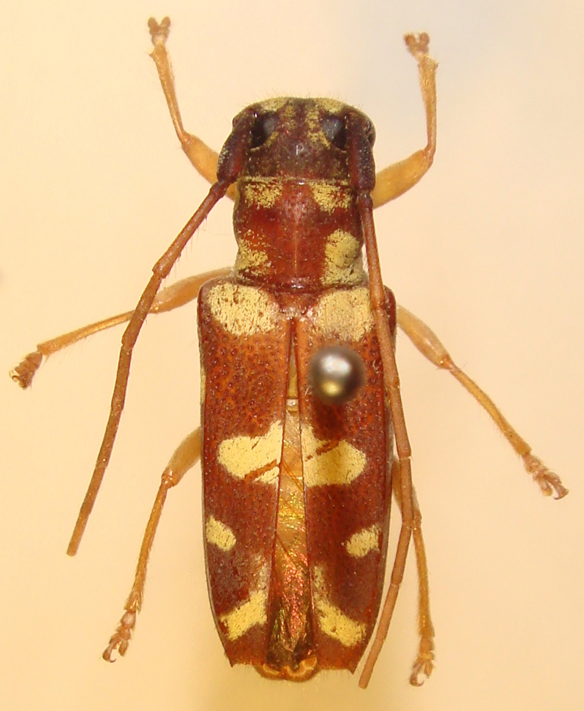
Glenea crucicollis Breuning 1956

Specimen Type: holotype
Sex: f
Institution: NHMB Naturhistorisches Museum, Basel, Switzerland
Photographer: Meiying Lin
Collection Location: India
67404

130425