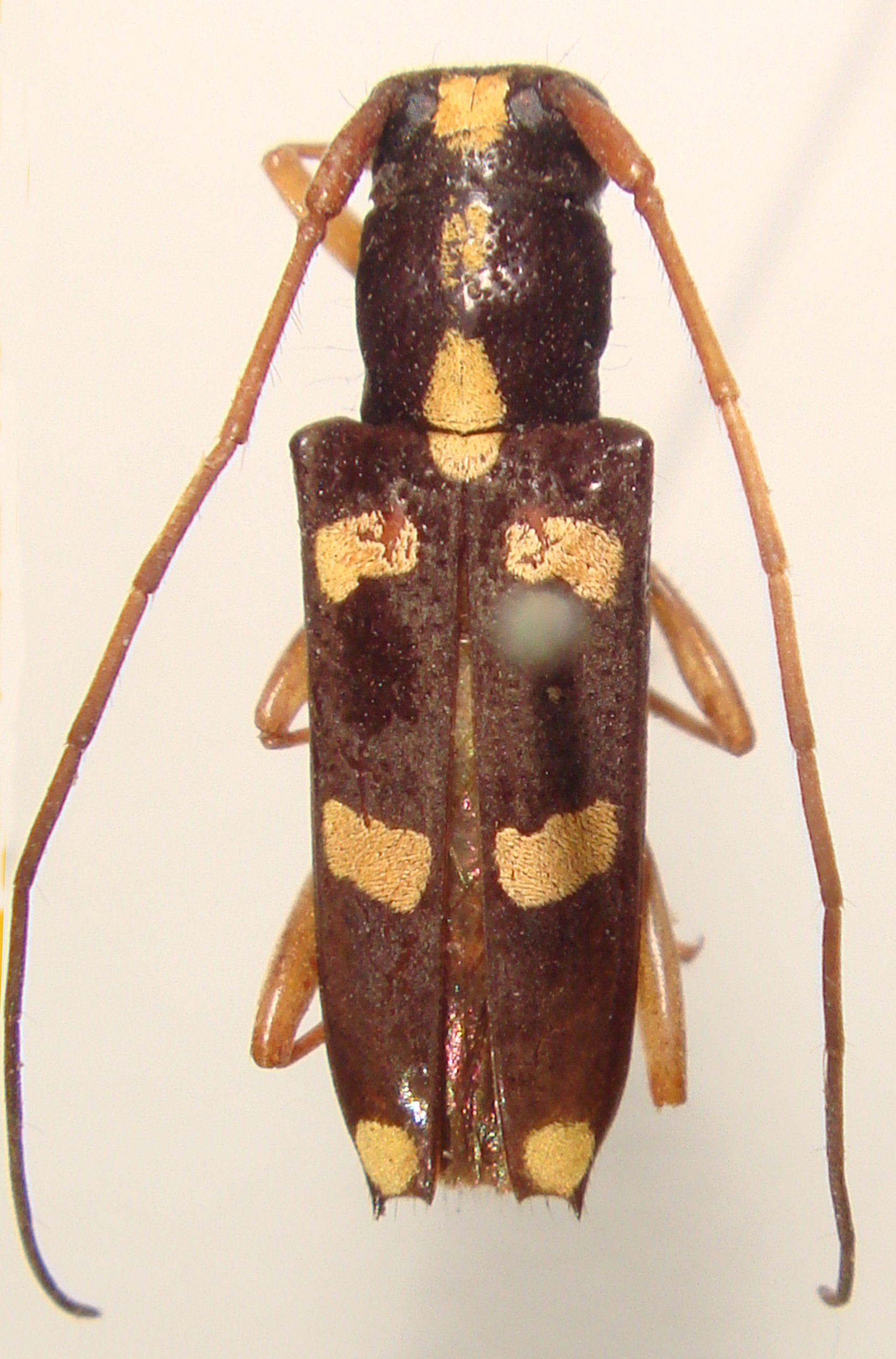
_Newman_BMNH_Manilla_Luzon_Philippines_LGB.jpg)
Specimen Type: holotype Institution: BMNH British Museum Natural History, London, UK Photographer: Larry G. Bezark Collection Location: Manilla, Luzon, Philippines 47687
|
_Newman_BMNH_Manilla_Luzon_Philippines_LGB.jpg)
Specimen Type: holotype Institution: BMNH British Museum Natural History, London, UK Photographer: Larry G. Bezark Collection Location: Manilla, Luzon, Philippines 47688
|

Glenea severa Thomson Specimen Type: holotype Institution: MNHN Museum of Natural History Paris, France Photographer: Meiying Lin Collection Location: Mindanao, Philippines 67399
|
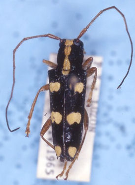
_concinna_Newman_CAS.jpg)
Institution: CAS California Academy of Sciences, San Francisco, CA, USA Photographer: Larry G. Bezark 41778
|

Institution: BPBM Bernice P. Bishop Museum, Honolulu, Hawaii, USA Photographer: Jim Cope Collection Location: Philippines 41779
|

Institution: BPBM Bernice P. Bishop Museum, Honolulu, Hawaii, USA Photographer: Jim Cope Collection Location: Luzon, Philippines 41780
|
|