_Gahan_BMNH_Java_Indonesia_LGB.jpg)
Specimen Type: syntype Institution: BMNH British Museum Natural History, London, UK Photographer: Larry G. Bezark Collection Location: Java, Indonesia 47677
|
_Gahan_BMNH_Java_Indonesia_LGB.jpg)
Specimen Type: syntype Institution: BMNH British Museum Natural History, London, UK Photographer: Larry G. Bezark Collection Location: Java, Indonesia 47678
|
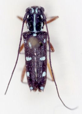
_Gahan_BMNH_Java_Indonesia_LGB.jpg)
Specimen Type: syntype Institution: BMNH British Museum Natural History, London, UK Photographer: Larry G. Bezark Collection Location: Java, Indonesia 47679
|

Glenea trilineata Pic Specimen Type: holotype Institution: MNHN Museum of Natural History Paris, France Photographer: Meiying Lin Collection Location: Java, Indonesia 67394
|

Photographer: Jim Cope Collection Location: Java 48685
|
|