New Search Family, Subfamily and Tribe List

SubFamily Cerambycinae

Tribe Rhinotragini
Adepimelitta eupheme (Lameere, 1884)

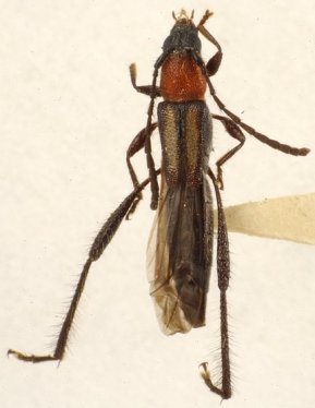
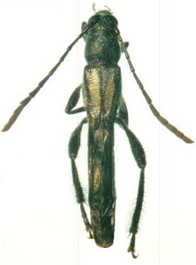
Ischasia cazieri Fisher
Specimen Type: holotype
Sex: f
Institution: AMNH American Museum of Natural History, New York, NY, USA
Collection Location: Nova Teutonia, Santa Catarina, Brazil
27803


Sex: m
55622


Sex: f
55623

130425