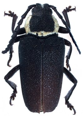
_BMNH_Derek_Croucher.jpg)
Specimen Type: holotype Sex: f Institution: BMNH British Museum Natural History, London, UK Photographer: Derek Croucher Collection Location: Jamaica 65263
|
_BMNH_Derek_Croucher.jpg)
Specimen Type: holotype Sex: f Institution: BMNH British Museum Natural History, London, UK Photographer: Derek Croucher Collection Location: Jamaica 65267
|
_BMNH_Derek_Croucher.jpg)
Specimen Type: holotype Sex: f Institution: BMNH British Museum Natural History, London, UK Photographer: Derek Croucher Collection Location: Jamaica 65264
|
_BMNH_Derek_Croucher.jpg)
Specimen Type: holotype Sex: f Institution: BMNH British Museum Natural History, London, UK Photographer: Derek Croucher Collection Location: Jamaica 65265
|
_BMNH_Derek_Croucher.jpg)
Specimen Type: holotype Sex: f Institution: BMNH British Museum Natural History, London, UK Photographer: Derek Croucher Collection Location: Jamaica 65266
|
_Chevrolat_SWL.jpg)
Sex: f Photographer: Steve Lingafelter 49149
|
|