_M_G_IRSNB_Guadeloupe_J_Pirkl_pic5.jpg)
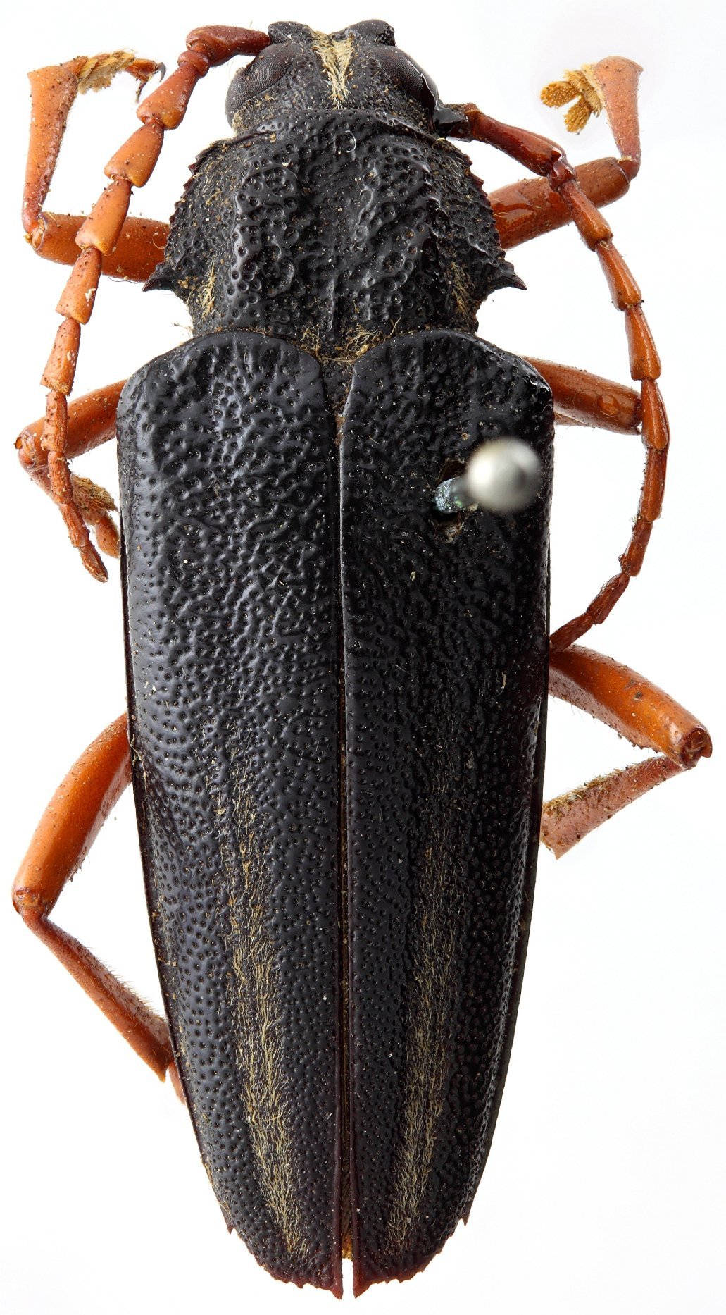
Specimen Type: holotype Sex: f Institution: RBINS Royal Belgian Institute of Natural Sciences, Brussels, Belgium Photographer: J Pirkl Collection Location: Guadeloupe 65296
|
_M_G_IRSNB_Guadeloupe_J_Pirkl_pic5.jpg)
Specimen Type: holotype Sex: f Institution: RBINS Royal Belgian Institute of Natural Sciences, Brussels, Belgium Photographer: J Pirkl Collection Location: Guadeloupe 65297
|
_M_G_IRSNB_Guadeloupe_J_Pirkl_pic5.jpg)
Specimen Type: holotype Sex: f Institution: RBINS Royal Belgian Institute of Natural Sciences, Brussels, Belgium Photographer: J Pirkl Collection Location: Guadeloupe 65298
|
_M_G_IRSNB_Guadeloupe_J_Pirkl_pic5.jpg)
Specimen Type: holotype Sex: f Institution: RBINS Royal Belgian Institute of Natural Sciences, Brussels, Belgium Photographer: J Pirkl Collection Location: Guadeloupe 65299
|
_Galileo_and_Martins_Rev_Bras_Ent.jpg)
Sex: f 24599
|
|