
Specimen Type: holotype Institution: MNHN Museum of Natural History Paris, France Photographer: Meiying Lin Collection Location: Batchian, Molucca Islands, Indonesia 67323
|

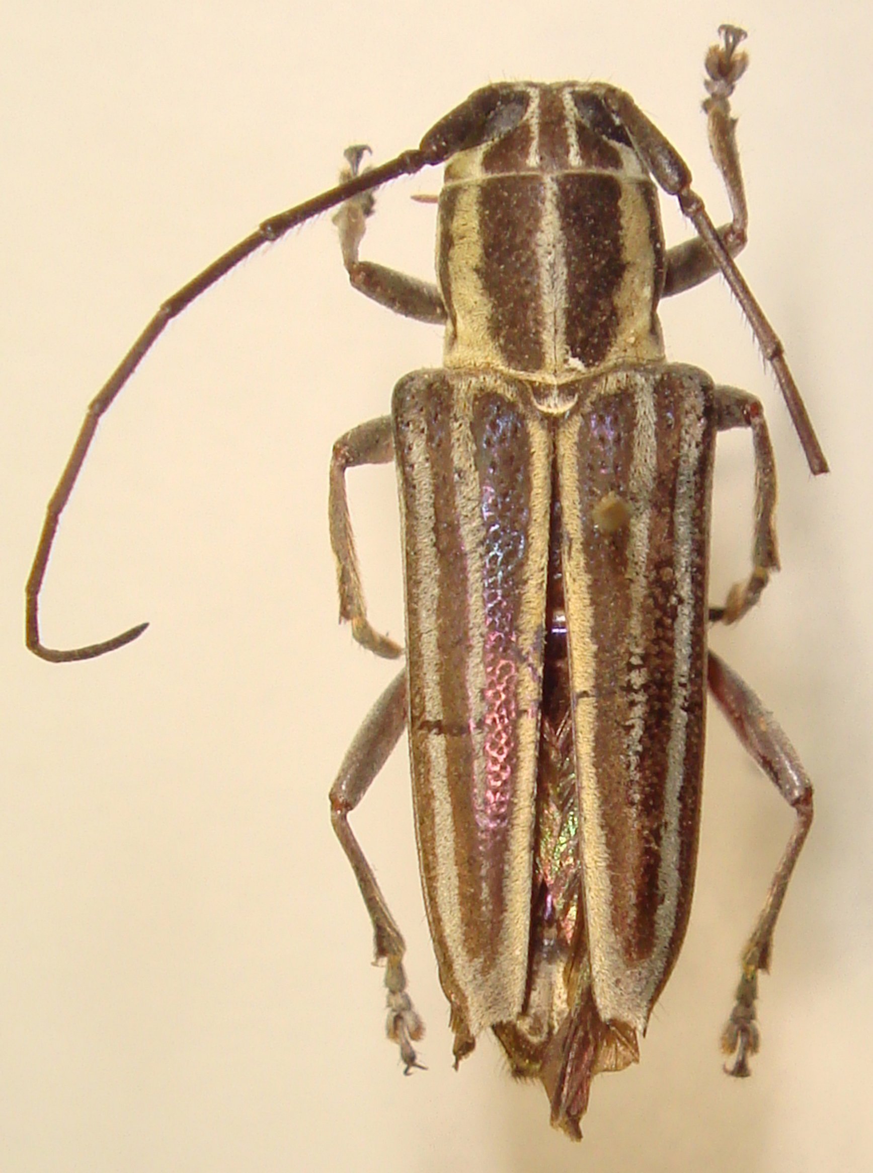
Glenea perroudi Thomson Specimen Type: holotype Institution: MNHN Museum of Natural History Paris, France Photographer: Meiying Lin Collection Location: Java, Indonesia 67324
|

Glenea psylla Thomson Specimen Type: holotype Institution: MNHN Museum of Natural History Paris, France Photographer: Meiying Lin Collection Location: ? 67325
|

Glenea subfasciata Thomson Specimen Type: holotype Institution: MNHN Museum of Natural History Paris, France Photographer: Meiying Lin Collection Location: Batchian, Molucca Islands, Indonesia 67322
|

Institution: LIPI Lembaga Ilmu Pengetahuan, Bogor, Indonesia Photographer: Larry G. Bezark Collection Location: Irian Jaya, Papua New Guinea 43614
|

Institution: LIPI Lembaga Ilmu Pengetahuan, Bogor, Indonesia Photographer: Larry G. Bezark Collection Location: Irian Jaya, Papua New Guinea 43615
|

Photographer: Jim Cope Collection Location: Philippines 48593
|
|