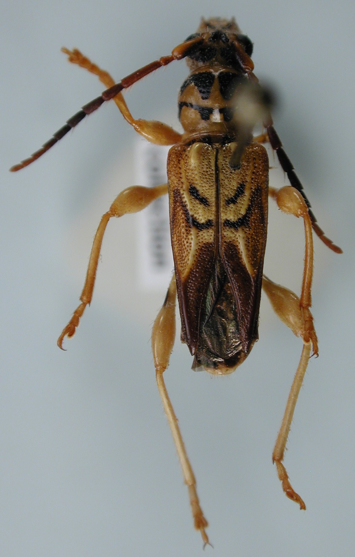
_Waterh_BMNH_Sarayacu_Pastaza_EC_LGB.jpg)
Specimen Type: holotype Sex: m Institution: BMNH British Museum Natural History, London, UK Photographer: Larry G. Bezark Collection Location: Sarayacu, Pastaza, Ecuador 46486
|
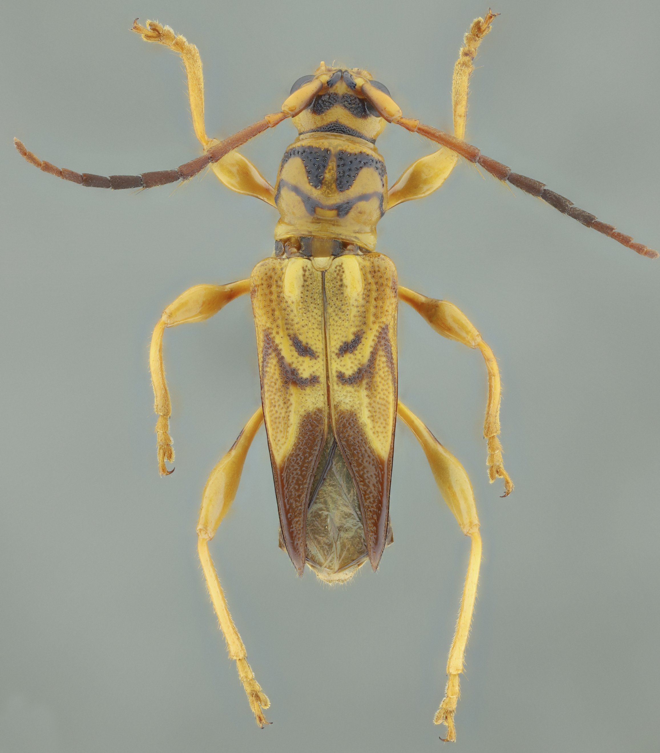
_Waterhouse_BMNH_Hespenheide_FTH.jpg)
Specimen Type: holotype Sex: m Institution: BMNH British Museum Natural History, London, UK Photographer: Henry Hespenheide Collection Location: Sarayacu, Pastaza, Ecuador 15513
|

Institution: LGBC Larry G. Bezark Collection, Sacramento, California, USA Photographer: Larry G. Bezark Collection Location: Peru 76351
|

Institution: LGBC Larry G. Bezark Collection, Sacramento, California, USA Photographer: Larry G. Bezark Collection Location: Peru 76352
|

Institution: LGBC Larry G. Bezark Collection, Sacramento, California, USA Photographer: Larry G. Bezark Collection Location: Peru 76353
|

Institution: Ramirez Collection Photographer: Antonio Santos-Silva Collection Location: Centro Fuerte, Rio Momon, Loreto, Peru 100664
|
|