
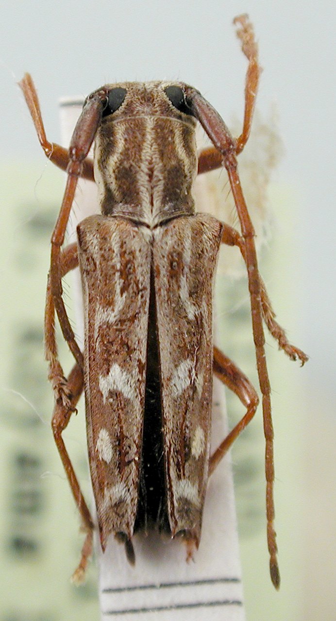
Institution: JCPC Jim Cope Collection, San Jose, California, USA now at CSCA, Sacramento Photographer: Larry G. Bezark Determiner: Jim Cope Collection Location: Mae-ai, Thailand 97223
|
Thomson Mae-ai, Thailand JCPC LGB.jpg)
Institution: JCPC Jim Cope Collection, San Jose, California, USA now at CSCA, Sacramento Photographer: Larry G. Bezark Determiner: Jim Cope Collection Location: Mae-ai, Thailand 97224
|

Photographer: Meiying Lin 42781
|

Institution: BMNH British Museum Natural History, London, UK Photographer: Larry G. Bezark Collection Location: Nankon, Thailand 48014
|

Institution: BMNH British Museum Natural History, London, UK Photographer: Larry G. Bezark Collection Location: Nankon, Thailand 48015
|

Institution: BMNH British Museum Natural History, London, UK Photographer: Larry G. Bezark Collection Location: Nankon, Thailand 48016
|
_vaga_Thomson_Det_Cope_CAS.jpg)
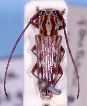
Institution: CAS California Academy of Sciences, San Francisco, CA, USA Photographer: Larry G. Bezark Determiner: Jim Cope 41646
|

41647
|

Institution: BPBM Bernice P. Bishop Museum, Honolulu, Hawaii, USA Photographer: Jim Cope Collection Location: SE Asia 41648
|
_vaga_Soppong_Village_Mae_Hong_Son_prov_Thailand_Rob_Vig.jpg)
Photographer: Robert Vigneault, Cerambycoidea Forum Collection Location: Soppong Village, Mae Hong Son province, Thailand 46074
|
|