New Search Family, Subfamily and Tribe List

SubFamily Lamiinae

Tribe Saperdini
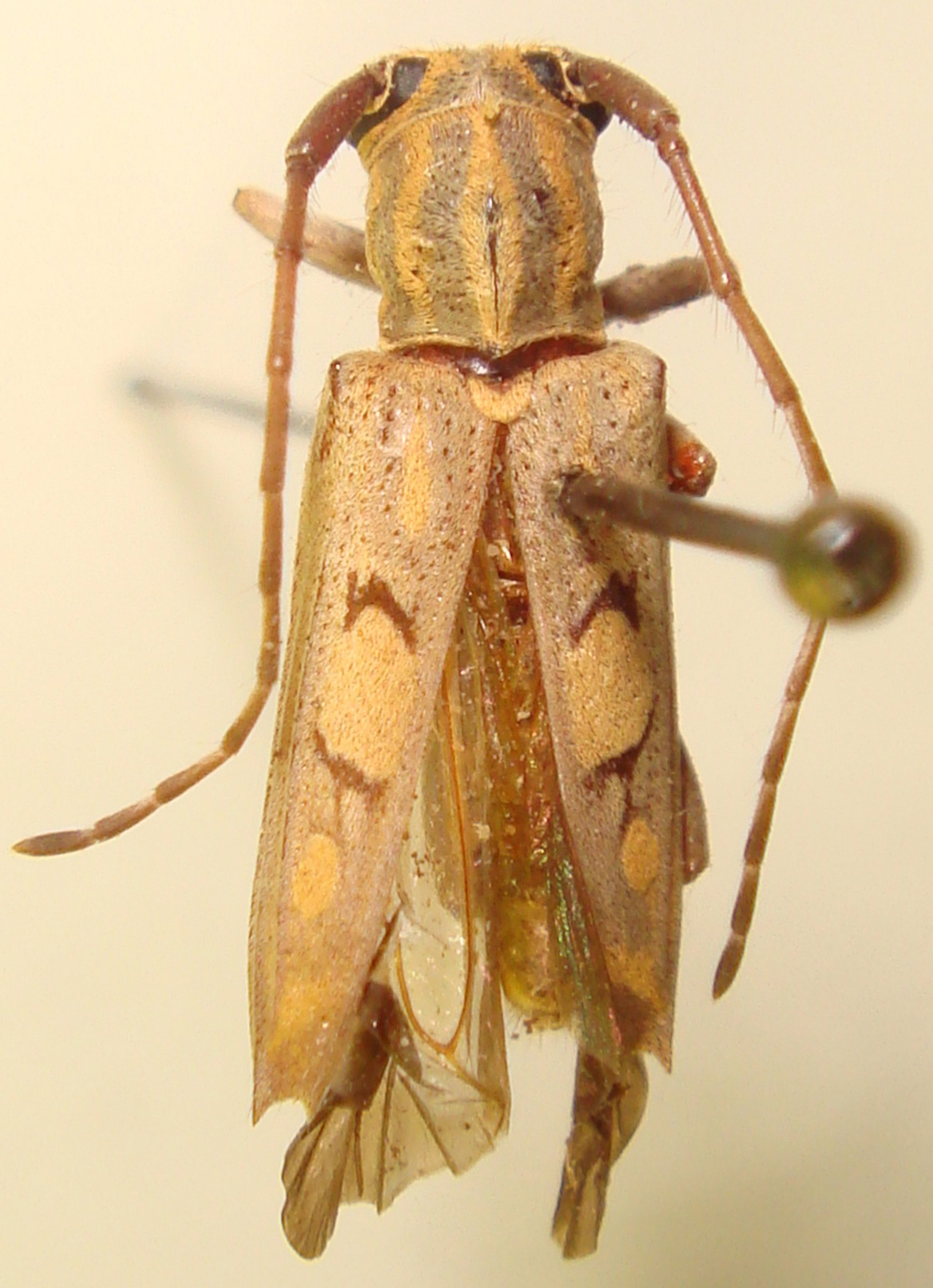
Glenea diversesignata Pic 1943

Specimen Type: holotype
Institution: MNHN Museum of Natural History Paris, France
Photographer: Meiying Lin
Collection Location: Bombay, Maharashtra, India
67200

130425