New Search Family, Subfamily and Tribe List

SubFamily Lamiinae

Tribe Saperdini
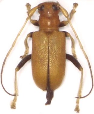
Entelopes similis Pascoe 1866

Photographer: Robert Vigneault, Cerambycoidea Forum
Collection Location: Cameron Highlands, Malaysia
49611


Photographer: Konstantin Vaksov
Collection Location: Cameron Highlands, Malaysia
49612

130425