New Search Family, Subfamily and Tribe List

SubFamily Lamiinae

Tribe Pteropliini
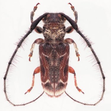
Similosodus venosus (Pascoe, 1867)

Sodus venosus Pascoe
Specimen Type: holotype
Institution: BMNH British Museum Natural History, London, UK
Photographer: Slipinski & Escalona
Collection Location: Cape York, Queensland, Australia
53150


Photographer: Slipinski & Escalona
55770


Photographer: Slipinski & Escalona
55771

130425