New Search Family, Subfamily and Tribe List

SubFamily Lamiinae

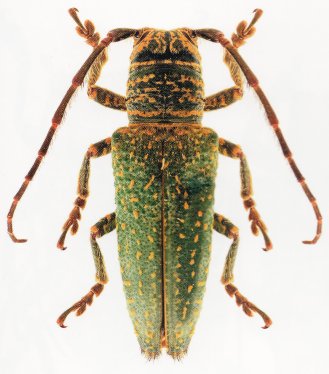
Tribe Pteropliini
Rhytiphora viridis (Breuning, 1938)

Saperdopsis viridis Breuning
Specimen Type: holotype
Sex: f
Institution: NHRS Naturhistoriska Riksmuseet, Stockholm, Sweden
Photographer: Slipinski & Escalona
Collection Location: Queensland, Australia
53147


Photographer: Slipinski & Escalona
55762

130425