New Search Family, Subfamily and Tribe List

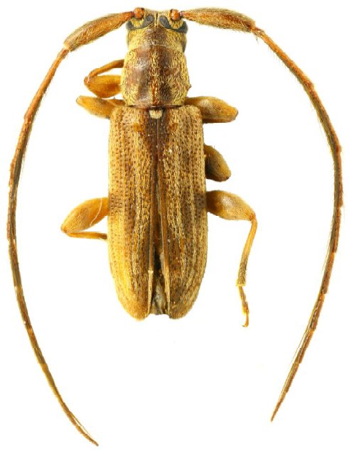
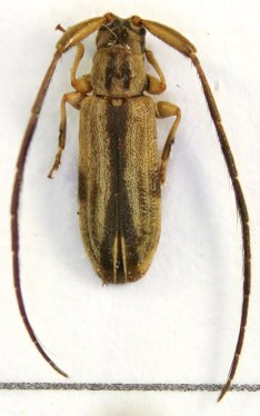
SubFamily Lamiinae

Tribe Desmiphorini
Microrhodopina flavescens Breuning 1982

Photographer: Sergei Troccoli, Cerambycoidea Forum
Collection Location: Northern Luzon, Philippines
53610


Photographer: Arvids Barševskis
Collection Location: Didin, Isabela, Luzon, Philippines
90379


Photographer: Bill Tyson
Collection Location: Philippines
53609

130425