_Klug_ZMHB_Rio_de_jameiro_Brazil_now_Acyphoderes.jpg)
Stenopterus hirtipes Klug Specimen Type: lectotype Sex: m Institution: ZMHB Museum für Naturkunde der Humboldt-Universität, Berlin, Germany Photographer: Monne Collection Location: Rio de Janeiro, Brazil 48246
|
_Fisher_Brazil_USNM_SWL_=_Acyphoderes_hirtipes_(Klug).jpg)
Acyphoderes rufofemorata Fisher Specimen Type: holotype Sex: f Institution: NMNH United States National Museum, Washington, DC, USA Photographer: Steve Lingafelter Collection Location: Bahia, Brazil 3775
|

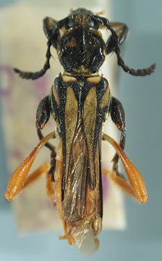
Stenopterus femoratus Klug 24108
|
_Klug_BMNH_Hespenheide_FTH_=_Acyphoderes_hirtipes_(Klug).jpg)
Stenopterus femoratus Klug Specimen Type: syntype Institution: BMNH British Museum Natural History, London, UK Photographer: Henry Hespenheide 18570
|
_BMNH_Hespenheide_FTH.jpg)
Institution: BMNH British Museum Natural History, London, UK Photographer: Henry Hespenheide 14989
|

Stenopterus hirtipes Klug 24110
|
_CAS.jpg)
Institution: CAS California Academy of Sciences, San Francisco, CA, USA Photographer: Larry G. Bezark 3761
|
_LGB.jpg)
Photographer: Larry G. Bezark 3762
|