_Chemsak_and_Linsley_CAS_type_13346.jpg)
Acyphoderes fulgida Chemsak & Linsley Specimen Type: holotype Sex: m Institution: CAS California Academy of Sciences, San Francisco, CA, USA Photographer: Larry G. Bezark Collection Location: La Pacifica, 4 km NW of Caņas, Guanacaste, Costa Rica 23356
|
_Chemsak_and_Linsley_UCB.jpg)
Acyphoderes fulgida Chemsak & Linsley Specimen Type: allotype Sex: f Institution: UCB Essig Museum of Entomology, Berkeley, California, USA Collection Location: La Pacifica, 4 km NW of Caņas, Guanacaste, Costa Rica 14988
|
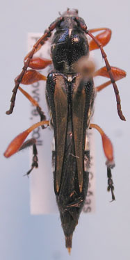
_Chemsak_and_Linsley_Guanacaste_Costa_Rica_UCB.jpg)
Acyphoderes fulgida Chemsak & Linsley Specimen Type: paratype Institution: UCB Essig Museum of Entomology, Berkeley, California, USA Photographer: Larry G. Bezark Collection Location: Guanacaste, Costa Rica 3759
|

Institution: FTH Frank T. Hovore collection (now at California Academy of Sciences) Photographer: Larry G. Bezark 3760
|
|