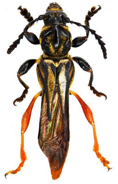
.jpg)
Sex: f Institution: FTH Frank T. Hovore collection (now at California Academy of Sciences) Photographer: Larry G. Bezark Collection Location: road to Kaw r-40, French Guiana 28040
|
.jpg)
Sex: f Institution: FTH Frank T. Hovore collection (now at California Academy of Sciences) Photographer: Larry G. Bezark Collection Location: road to Kaw r-40, French Guiana 28041
|
Kaw_FG_JlG.jpg)
Photographer: Jean-Louis Giuglaris Collection Location: Kaw, French Guiana 3733
|
_BCA_(as_Acyphoderes_olivieri_Bates).jpg)
Acyphoderes olivier (Olivier) Institution: BCA Biologia Centrali Americana 3734
|
 (Olivier) Montagne Chevaux, Roura, French Guiana Robin.jpg)
Photographer: Frédéric Robin Collection Location: Montagne Chevaux, Roura, French Guiana 3735
|
_(Olivier)_BMNH_Hespenheide_FTH.jpg)
Institution: BMNH British Museum Natural History, London, UK Photographer: Henry Hespenheide 14979
|
_Faure_French_Guiana.jpg)
Photographer: Denis Faure Collection Location: French Guiana 21620
|