_Tippmann_Bolivia_USNM_SWL.jpg)
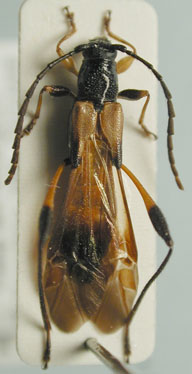
Acorethra zischkai Tippmann Specimen Type: holotype Sex: f Institution: NMNH United States National Museum, Washington, DC, USA Photographer: Steve Lingafelter Collection Location: Chapare, Cochabamba, Bolivia 3714
|

Institution: UCB Essig Museum of Entomology, Berkeley, California, USA Photographer: Larry G. Bezark Determiner: Gerard Tavakilian Collection Location: Guyana 3718
|

Institution: FTH Frank T. Hovore collection (now at California Academy of Sciences) Photographer: Larry G. Bezark 3719
|

Photographer: Denis Faure Collection Location: French Guiana 21617
|

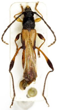
Institution: MZSP Museu de Zoologia da Universidade de São Paulo, Brazil Photographer: Steve Lingafelter Determiner: Bira Martins Collection Location: Bolivia 3715
|

Institution: MZSP Museu de Zoologia da Universidade de São Paulo, Brazil Photographer: Steve Lingafelter Determiner: Bira Martins Collection Location: Bolivia 3717
|
_Fr_Guinea_Faure.jpg)
Photographer: Denis Faure Collection Location: French Guiana 29295
|
_Kaw_FG_JLG.jpg)
Photographer: Jean-Louis Giuglaris Collection Location: Kaw, French Guiana 68112
|