_Gounelle_MNHN_Jatai_Goias_Braz_Tava_.jpg)
Specimen Type: syntype Sex: m Institution: MNHN Museum of Natural History Paris, France Photographer: Gerard Tavakilian Collection Location: Jatai, Goias, Brazil 55617
|
_CAS.jpg)
Institution: CAS California Academy of Sciences, San Francisco, CA, USA Photographer: Larry G. Bezark 3713
|

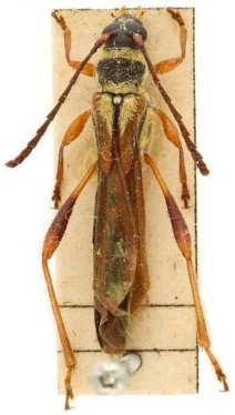
Sex: f Institution: MNRJ Museu Nacional Universidade do Rio Janeiro, Brazil Photographer: Larry G. Bezark Collection Location: Represa, Rio Grande, Guanabara, Rio de Janeiro, Brazil 33033
|
|