New Search Family, Subfamily and Tribe List

SubFamily Cerambycinae

Tribe Necydalopsini
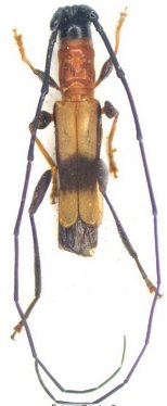
Sthelenus ichneumoneus Buquet 1860

Photographer: Jean-Louis Giuglaris
Collection Location: Belizon, French Guiana
29353


13577

130425