_(Fairmaire_and_Germain)_Barriga_and_Cepeda.jpg)
Sex: m Photographer: Juan Barriga Tunon Collection Location: Chile 27692
|

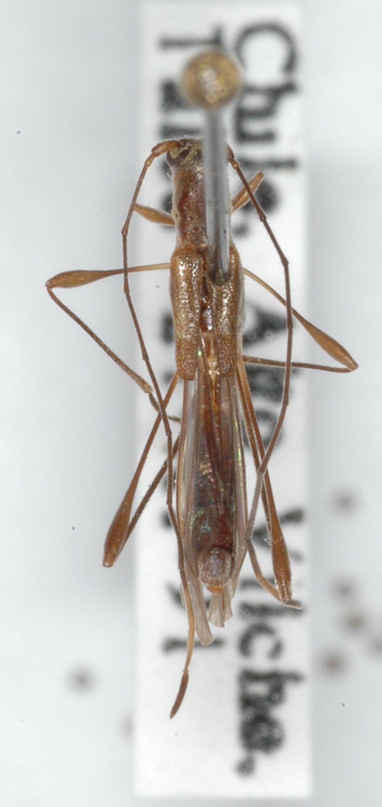
Institution: JCPC Jim Cope Collection, San Jose, California, USA now at CSCA, Sacramento Photographer: Jim Cope Collection Location: Alto Vilches, Talca, Chile 73105
|

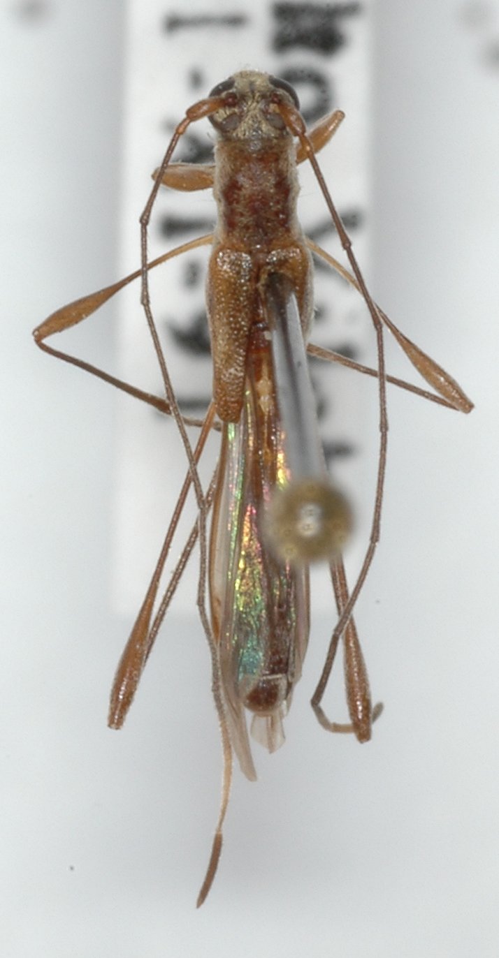
Institution: JCPC Jim Cope Collection, San Jose, California, USA now at CSCA, Sacramento Photographer: Jim Cope Collection Location: Alto Vilches, Talca, Chile 73106
|
|