
Hathlia quadrilineatus Hope Specimen Type: holotype Institution: OXUM Hope Department of Entomology, Oxford University Museum of Natural History, England Photographer: Slipinski & Escalona Collection Location: Port Essington, Australia 52922
|

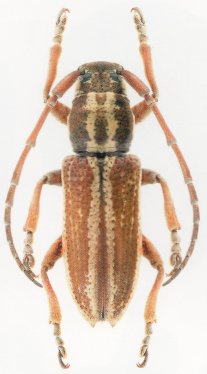
Lychrosis bivittatus Aurivillius Specimen Type: holotype Institution: NHRS Naturhistoriska Riksmuseet, Stockholm, Sweden Photographer: Slipinski & Escalona Collection Location: Cape York, Queensland, Australia 52942
|