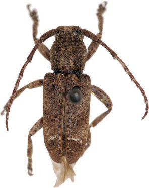
_Gressitt_China_USNM.jpg)
Pterolophia arctofasciata Gressitt Specimen Type: holotype Sex: f Institution: NMNH United States National Museum, Washington, DC, USA Photographer: Steve Lingafelter Collection Location: Ta-hian, nr Five Finger Mtns, SC Hainan Island, China 58235
|
_Gressitt_now_postfascic_Meiying.jpg)
Pterolophia arctofasciata Gressitt Specimen Type: allotype Sex: m Institution: NMNH United States National Museum, Washington, DC, USA Photographer: Meiying Lin Collection Location: SC Hainan Island 43029
|