New Search Family, Subfamily and Tribe List

SubFamily Lamiinae

Tribe Pteropliini
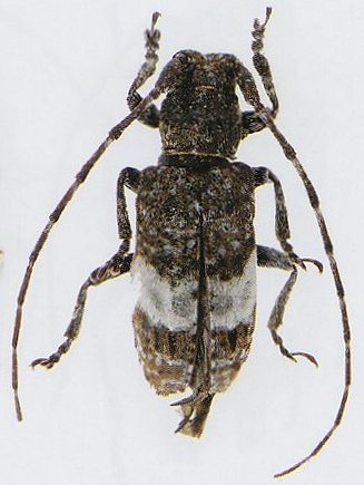
Anaches albaninus (Gressitt, 1942)

Sex: m
Photographer: Meiying Lin
Collection Location: Qinling Mountains, China
73426

130425