 Goun Santa Catarina, Brazil SS.jpg)
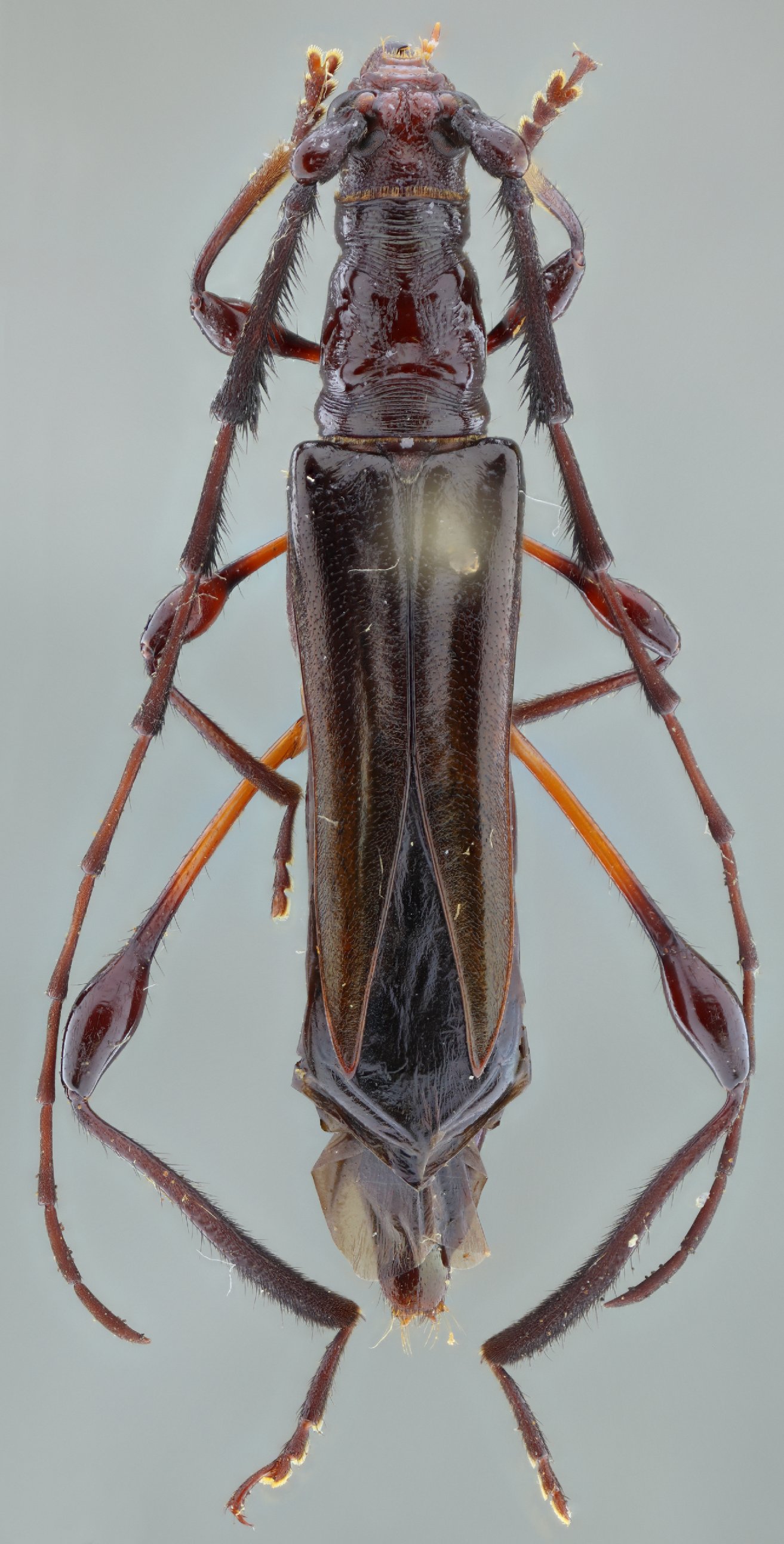
Sex: m Institution: MZSP Museu de Zoologia da Universidade de São Paulo, Brazil Photographer: Antonio Santos-Silva Collection Location: Santa Catarina, Brazil 90475
|
 Goun Santa Catarina, Brazil SS.jpg)
Sex: f Institution: MZSP Museu de Zoologia da Universidade de São Paulo, Brazil Photographer: Antonio Santos-Silva Collection Location: Santa Catarina, Brazil 90476
|

Photographer: Ole Mehl Collection Location: Department Boqueron, Paraguay 36830
|

Photographer: Ole Mehl Collection Location: Department Boqueron, Paraguay 36831
|

Institution: TAMU Texas A & M University, College Station, Texas, USA Photographer: Dan Heffern 20964
|
|