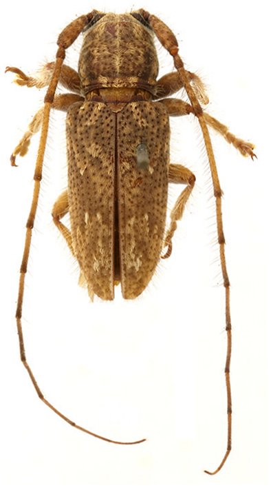
 Pascoe BMNH Batchian, Indonesia now Mispila KM.jpg)
Dryusa dotata Pascoe Specimen Type: holotype Sex: m Institution: BMNH British Museum Natural History, London, UK Photographer: Keita Matsumoto Collection Location: Batchian, Molucca Islands, Indonesia 90063
|
 Pascoe BMNH Batchian, Indonesia now Mispila KM.jpg)
Dryusa dotata Pascoe Specimen Type: holotype Sex: m Institution: BMNH British Museum Natural History, London, UK Photographer: Keita Matsumoto Collection Location: Batchian, Molucca Islands, Indonesia 90064
|