 Pascoe BMNH Ceram, Indonesia now Mispila KM.jpg)
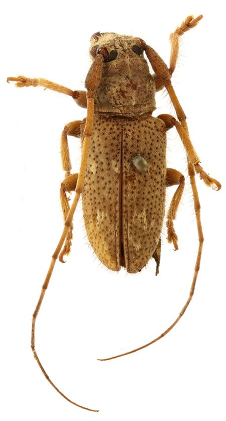
Dryusa diluta Pascoe Specimen Type: holotype Sex: m Institution: BMNH British Museum Natural History, London, UK Photographer: Keita Matsumoto Collection Location: Ceram, Molucca Islands, Indonesia 90061
|
 Pascoe BMNH Ceram, Indonesia now Mispila KM.jpg)
Dryusa diluta Pascoe Specimen Type: holotype Sex: m Institution: BMNH British Museum Natural History, London, UK Photographer: Keita Matsumoto Collection Location: Ceram, Molucca Islands, Indonesia 90062
|