New Search Family, Subfamily and Tribe List

SubFamily Lamiinae

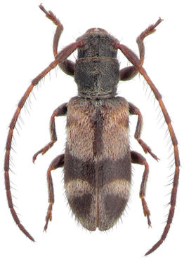
Tribe Pteropliini
Egesina bifasciana bifasciana (Matsushita, 1933)

Sex: m
Photographer: O. E. Berlov
Collection Location: Ohsawa, Japan
38598


Sex: m
Photographer: Kirill V. Makarov
Collection Location: Lazovskiy Nature Reserve, Primorskiy Region, Russia
38599

130425