 Schultze SNSD Iwahig, Palawan, Philippines now Demodioides EV.jpg)
Proteuclea palawana Schultze Specimen Type: holotype Sex: m Institution: SNSD Senckenberg Naturhistorische Sammlungen Dresden, Germany Photographer: Eduard Vives Collection Location: Iwahig, Palawan, Philippines 75942
|
_DJH.jpg)
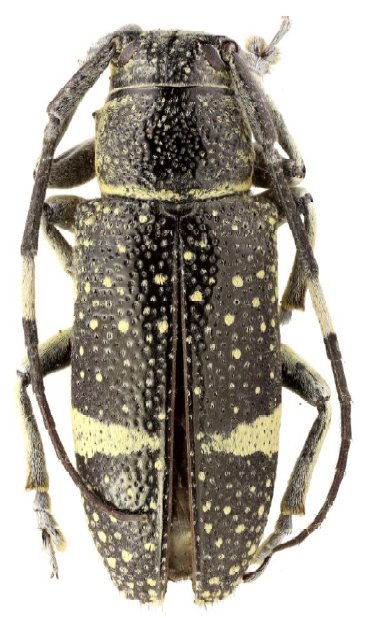
Demodioides transversevittatus Breuning Specimen Type: holotype Institution: NHRS Naturhistoriska Riksmuseet, Stockholm, Sweden Photographer: Dan Heffern Collection Location: Borneo (likely incorrect) 36401
|