New Search Family, Subfamily and Tribe List

SubFamily Lamiinae

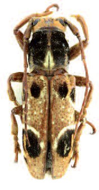
Tribe Pteropliini
Callimetopus ornatus (Schultze, 1934)

Photographer: Eduard Vives
Determiner: Les Cahiers Magellanes
Collection Location: Samar Island, Philippines
34289


Photographer: Arvids Barševskis
Collection Location: Hinabangan, Borongan, Samar, Philippines
58494

130425