
Institution: IRSNB Royal Belgian Institute of Natural Sciences, Brussels, Belgium Photographer: Noel Mal Collection Location: Fort Crampel, Central African Republic 39755
|
_Pamora_Uganda_Africa_Francesco_forum_LGB.jpg)
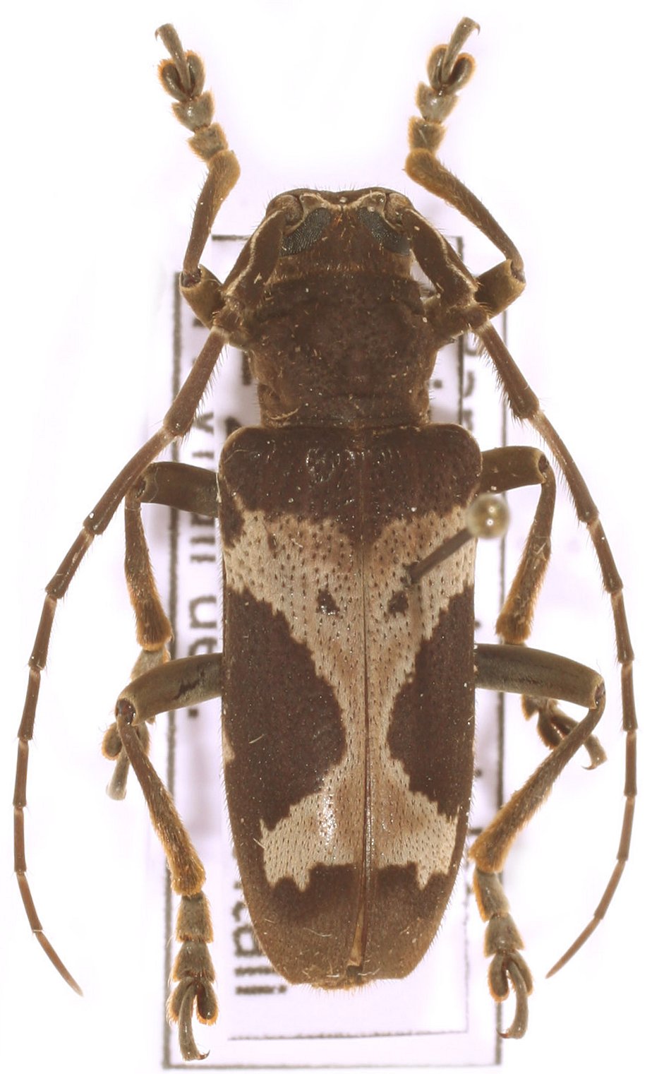
Institution: LGBC Larry G. Bezark Collection, Sacramento, California, USA Photographer: Larry G. Bezark Determiner: Francesco Vitali, Cerambycoidea Forum Collection Location: Pamora, Uganda 45894
|