 Westwood MNHN Angat, Luzon, Philippines now Aprophata GC.jpg)
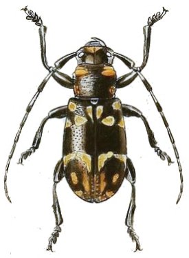
Abryna semperi Westwood Specimen Type: holotype © MNHN Sex: f Institution: MNHN Museum of Natural History Paris, France Photographer: Gerard Chemin, Cerambycoidea Forum Collection Location: Angat, Luzon, Philippines 101048
|
_Dunskis_Barsev_Cagayan_Valley_Luzon_Phil_Barsevskis_pic.jpg)
Aprophata marinduquensis luzonensis Dunskis & Barsevskis Specimen Type: holotype Sex: f Institution: DUBC Daugavpils University, Coleopterological Research Center, Latvia Photographer: Barsevskis Collection Location: Cagayan Valley, Luzon, Philippines 72274
|
 (Westwood) Vives Coll Aurora, N Luzon, Philippines.jpg)
Sex: m Institution: Vives Collection Photographer: Eduard Vives Collection Location: Aurora, N Luzon, Philippines 101666
|
 (Westwood) Vives Coll Balance, N Luzon, Philippines.jpg)
Sex: m Institution: Vives Collection Photographer: Eduard Vives Collection Location: Belance, N Luzon, Philippines 101667
|

Institution: LGBC Larry G. Bezark Collection, Sacramento, California, USA Photographer: Larry G. Bezark Collection Location: Cagayan, N Luzon, Philippines 37622
|
_Aurora_Labuyo_N_Luzon_Phil_Xavier.jpg)
Photographer: Xavier Gouverneur, Cerambycoidea Forum Collection Location: Aurora, Labuyo, Northern Luzon, Philippines 49039
|

Photographer: Estan Cabigas 32316
|
_drawing_Francesco.jpg)
Photographer: Francesco Vitali, Cerambycoidea Forum Determiner: Trans Ent Soc London 45848
|
 (Westwood) Vives coll Kasibu, Luzon, Philippines.jpg)
Sex: f Institution: Vives Collection Photographer: Eduard Vives Collection Location: Kasibu, N Luzon, Philippines 101668
|
|