 Breuning MNHN Mindanao, Philippines GC.jpg)
Specimen Type: holotype © MNHN Institution: MNHN Museum of Natural History Paris, France Photographer: Gerard Chemin, Cerambycoidea Forum Collection Location: Mindanao, Philippines 101432
|
_Barsevskis_DUBC_Mt_Apo_Mindanao_Phil.jpg)
Callimetopus lazarevi Barsevskis Specimen Type: holotype Sex: m Institution: DUBC Daugavpils University, Coleopterological Research Center, Latvia Photographer: Anita Rukmane Collection Location: Mt Apo, Mindanao, Philippines 58491
|

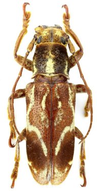
Callimetopus lazarevi Barsevskis Photographer: Gontran Drouin, Cerambycoidea Forum Collection Location: Mt Apo, Davao Del Sur, Mindanao, Philippines 65874
|
|