
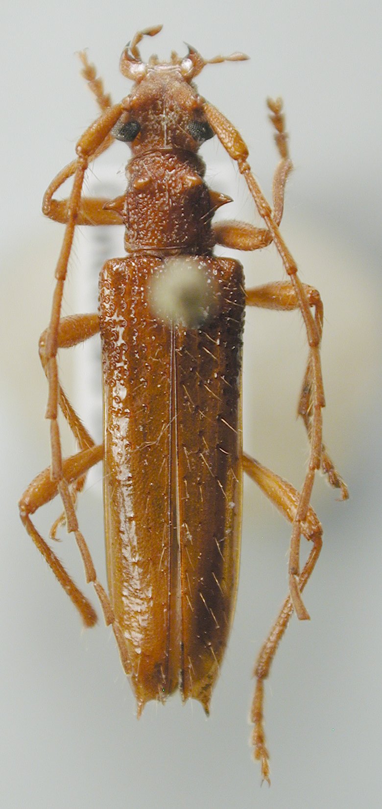
Institution: LGBC Larry G. Bezark Collection, Sacramento, California, USA Photographer: Larry G. Bezark Collection Location: Conceicao dos Quros, Minas Gerais, Brazil 96043
|

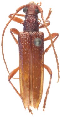
Photographer: Marcela Monne Collection Location: Itatiaia National Park, Rio de Janeiro, Brazil 27681
|