New Search Family, Subfamily and Tribe List

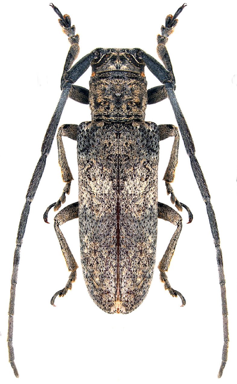
SubFamily Lamiinae

Tribe Prosopocerini
Prosopocera damarensis Itzinger 1936

Sex: f
Photographer: Karl Adlbauer
Collection Location: Namibia
57784


Photographer: David Schimrosczyk
Collection Location: Kuzikus Wildlife Reserve, Namibia
96351

130425