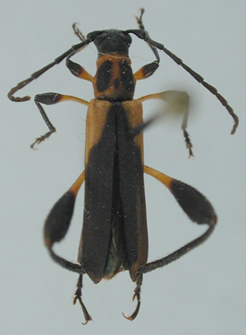
_Giesbert_CASTYPE19826_RBD.jpg)
Specimen Type: holotype Sex: m Institution: CAS California Academy of Sciences, San Francisco, CA, USA Photographer: Rachel Diaz-Bastin Collection Location: 12-14 km S San Lorenzo, Zacapa, Guatemala 69374
|
_Giesbert_CASTYPE19826_RBD.jpg)
Specimen Type: holotype Sex: m Institution: CAS California Academy of Sciences, San Francisco, CA, USA Photographer: Rachel Diaz-Bastin Collection Location: 12-14 km S San Lorenzo, Zacapa, Guatemala 69375
|
_Giesbert_CASTYPE19826_RBD.jpg)
Specimen Type: holotype Sex: m Institution: CAS California Academy of Sciences, San Francisco, CA, USA Photographer: Rachel Diaz-Bastin Collection Location: 12-14 km S San Lorenzo, Zacapa, Guatemala 69376
|
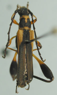
_Giesbert_San_Lorenzo_Zacapa_Guatemala_UCB.jpg)
Specimen Type: allotype Institution: UCB Essig Museum of Entomology, Berkeley, California, USA Collection Location: San Lorenzo, Zacapa, Guatemala 17995
|
_Giesbert_Zacapa_Guatemala_UCB.jpg)
Specimen Type: paratype Institution: UCB Essig Museum of Entomology, Berkeley, California, USA Photographer: Larry G. Bezark Collection Location: Zacapa, Guatemala 11609
|
_Giesbert_Zacapa_Guatemala_UCB_100096.jpg)
Specimen Type: paratype Institution: UCB Essig Museum of Entomology, Berkeley, California, USA Photographer: Larry G. Bezark Collection Location: Zacapa, Guatemala 11610
|
|