New Search Family, Subfamily and Tribe List

SubFamily Cerambycinae

Tribe Hyboderini
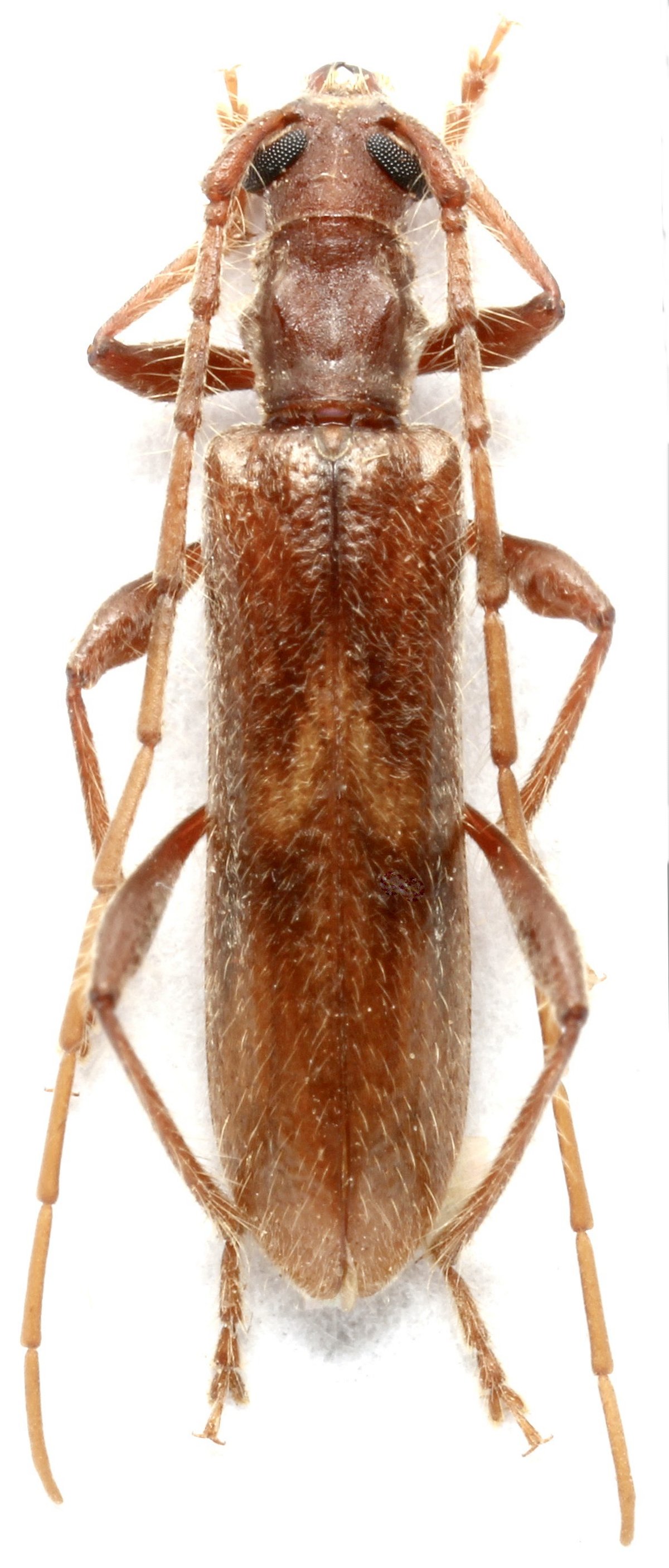
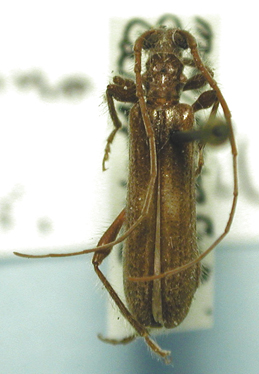
Megobrium edwardsi LeConte 1873

Photographer: Larry G. Bezark
1907


Photographer: Marlin Rice
Collection Location: Elings Park, Santa Barbara, Santa Barbara County, California
97479

130425