New Search Family, Subfamily and Tribe List

SubFamily Lamiinae

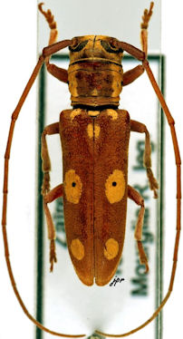
Tribe Prosopocerini
Prosopocera saperdoides (Quedenfeldt, 1888) 1888

Photographer: JP Roguet, https://lamiinae.org
Collection Location: Mitwaba, RD Congo
57758


Sex: m
Determiner: Les Cahiers Magellanes
Collection Location: Africa
57759


Determiner: Les Cahiers Magellanes
57760

130425