 Breun MHNG Shiluvane, N Prov South Africa M Bate.jpg)
Specimen Type: holotype Sex: m Institution: MHNG Museum of Natural History, Geneva, Switzerland Photographer: Michael Bate Collection Location: Shiluvane, Limpopo Province, South Africa 90156
|
 Br TMSA Olifants camp, Kruger NP, Transvaal, South Africa now infragrisea M Bate.jpg)
Eunidia holoflava Breuning Specimen Type: holotype Sex: m Institution: TMSA Ditsong: National Museum of Natural History, Pretoria, South Africa Photographer: Michael Bate Collection Location: Olifants camp, Kruger National Park, Transvaal, South Africa 90157
|
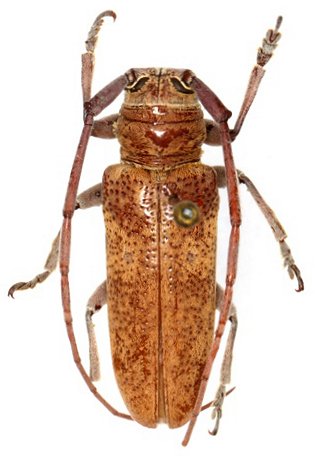
 Br TMSA Olifants camp, Kruger NP, Transvaal, South Africa now infragrisea M Bate.jpg)
Eunidia holoflava Breuning Specimen Type: holotype Sex: m Institution: TMSA Ditsong: National Museum of Natural History, Pretoria, South Africa Photographer: Michael Bate Collection Location: Olifants camp, Kruger National Park, Transvaal, South Africa 90158
|
|