New Search Family, Subfamily and Tribe List

SubFamily Lamiinae

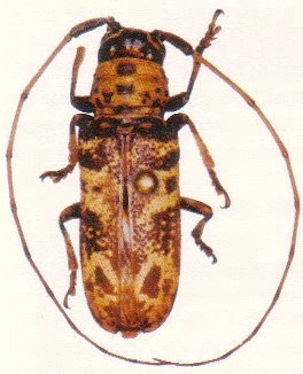
Tribe Prosopocerini
Prosopocera gaucheti Teocchi, Sudre & Jiroux 2008

Determiner: Les Cahiers Magellanes
Collection Location: Mengueme, Mbalmayo Region, Ebogo, Cameroon
57713

130425