New Search Family, Subfamily and Tribe List

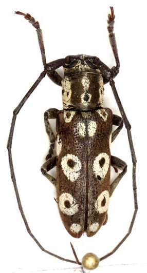
SubFamily Lamiinae

Tribe Prosopocerini
Prosopocera bettoni (Gahan, 1898)

Photographer: Carlo Vitali, Cerambycoidea Forum
Collection Location: Kenya
57703


Sex: m
Photographer: Michael Bate
Collection Location: Pafuri River camp, Limpopo, South Africa
90155

130425