New Search Family, Subfamily and Tribe List

SubFamily Cerambycinae

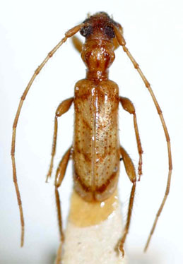
Tribe Obriini
Obrium quadrifasciatum Zajciw 1965

Specimen Type: holotype
Sex: m
Institution: MNRJ Museu Nacional Universidade do Rio Janeiro, Brazil
Photographer: Steve Lingafelter
Collection Location: Jacarepaguá, Reprêsa do Rio Grande, Rio de Janeiro, Brazil
10840

130425